Beetles of the Richmond, Chesterfield, and Henrico area

Beetles of the Richmond, Chesterfield, and Henrico area

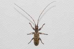
ant-like longhorn beetle 1
Cyrtophorus verrucosus
Locust Borer 2
Megacyllene robiniae
Red Milkweed Beetle 2
Tetraopes tetrophthalmus
Painted Hickory Borer 3
Megacyllene caryae
Rustic Borer 5
Xylotrechus colonus
Banded Graphisurus 6
Graphisurus fasciatus
Six-spotted Neolema 7
Neolema sexpunctata
Cereal Leaf Beetle 8
Oulema melanopus
Swamp Milkweed Leaf Beetle 9
Labidomera clivicollis
Dogbane Leaf Beetle 10
Chrysochus auratus
Rainbow Beetle 16
Tarpela micans
Asian Lady Beetle 17
Harmonia axyridis
Seven-spotted Lady Beetle 11
Coccinella septempunctata
Forked Fungus Beetle 18
Bolitotherus cornutus
Spotted Cucumber Beetle 19
Diabrotica undecimpunctata
Polished Lady Beetle 20
Cycloneda munda
Cottonwood Leaf Beetle 22
Chrysomela scripta
Red-banded Fungus Beetle 23
Megalodacne fasciata
Slender Lizard Beetle 24
Acropteroxys gracilis
Twenty-spotted Lady Beetle 11
Psyllobora vigintimaculata
Twice-stabbed Lady Beetle 25
Chilocorus stigma
Red-headed Ash Borer 26
Neoclytus acuminatus
Spotted Pink Ladybeetle 15
Coleomegilla maculata
Broad-necked Root Borer 16
Prionus laticollis
Golden Tortoise Beetle 33
Charidotella sexpunctata
Ivory-marked Borer 15
Eburia quadrigeminata
Brown Prionid Beetle 34
Orthosoma brunneum
Oak Timberworm Weevil 24
Arrhenodes minutus
Striped Cucumber Beetle 11
Acalymma vittatum
Squash Lady Beetle 7
Epilachna borealis
Small Mulberry Borer 43
Dorcaschema alternatum
Spined Oak Borer 45
Elaphidion mucronatum
Robust Oak Borer 34
Enaphalodes atomarius
Dogwood Twig Borer 51
Oberea tripunctata
Orange-shouldered Leaf Miner 24
Odontota scapularis
ragweed leaf beetle 52
Ophraella communa

Edited by Silas Eckhardt, some rights reserved (CC BY-SA)

Photo Credits

  • 1. (c) Ken-ichi Ueda, some rights reserved (CC BY), uploaded by Ken-ichi Ueda
  • 2. (c) Silas Eckhardt, all rights reserved, uploaded by Silas Eckhardt
  • 3. (c) Ann Gordon, some rights reserved (CC BY-NC), uploaded by Ann Gordon
  • 4. (c) Royal Tyler, some rights reserved (CC BY-NC-SA), uploaded by Royal Tyler
  • 5. (c) Fyn Kynd, some rights reserved (CC BY-SA), uploaded by Fyn Kynd
  • 6. (c) Dennis White, some rights reserved (CC BY-NC), uploaded by Dennis White
  • 7. (c) skitterbug, some rights reserved (CC BY), uploaded by skitterbug
  • 8. (c) oldbilluk, some rights reserved (CC BY-NC-SA)
  • 9. (c) Beth Katz, some rights reserved (CC BY-NC-SA), uploaded by Beth Katz
  • 10. (c) Gary Yankech, some rights reserved (CC BY-NC-SA), uploaded by Gary Yankech
  • 11. (c) Katja Schulz, some rights reserved (CC BY)
  • 12. (c) cotinis, some rights reserved (CC BY-NC), uploaded by cotinis
  • 13. (c) Steven Severinghaus, some rights reserved (CC BY-NC-SA)
  • 14. (c) Pete Kerby-Miller, some rights reserved (CC BY-NC-ND), uploaded by Pete Kerby-Miller
  • 15. (c) Mike Quinn, Austin, TX, some rights reserved (CC BY-NC), uploaded by Mike Quinn, Austin, TX
  • 16. (c) Erik Danielsen, some rights reserved (CC BY-NC), uploaded by Erik Danielsen
  • 17. (c) Paolo Mazzei, some rights reserved (CC BY-NC), uploaded by Paolo Mazzei
  • 18. (c) Patrick Coin, some rights reserved (CC BY-NC-SA)
  • 19. (c) molanic, some rights reserved (CC BY-NC), uploaded by molanic
  • 20. (c) Katja Schulz, some rights reserved (CC BY), uploaded by Katja Schulz
  • 21. (c) kim fleming, some rights reserved (CC BY-NC-SA)
  • 22. (c) Sean McCann, some rights reserved (CC BY-NC-SA)
  • 23. (c) cotinis, some rights reserved (CC BY-NC-SA)
  • 24. (c) Judy Gallagher, some rights reserved (CC BY), uploaded by Judy Gallagher
  • 25. (c) Jason M Crockwell, some rights reserved (CC BY-NC-ND), uploaded by Jason M Crockwell
  • 26. (c) Margarita Lankford, some rights reserved (CC BY-NC), uploaded by Margarita Lankford
  • 27. (c) James Shelton, some rights reserved (CC BY-NC-SA), uploaded by James Shelton
  • 28. (c) C. A. Ivy, some rights reserved (CC BY-NC), uploaded by C. A. Ivy
  • 29. (c) Paul Bedell, some rights reserved (CC BY-SA), uploaded by Paul Bedell
  • 30. (c) Steven Whitebread, some rights reserved (CC BY), uploaded by Steven Whitebread
  • 31. (c) Cheryl Harleston López Espino, some rights reserved (CC BY-NC-ND), uploaded by Cheryl Harleston López Espino
  • 32. (c) Judy Gallagher, some rights reserved (CC BY)
  • 33. (c) Even Dankowicz, some rights reserved (CC BY), uploaded by Even Dankowicz
  • 34. (c) John P Friel, some rights reserved (CC BY), uploaded by John P Friel
  • 35. (c) Sam Kieschnick, some rights reserved (CC BY), uploaded by Sam Kieschnick
  • 36. (c) Scott Gilmore, some rights reserved (CC BY-NC), uploaded by Scott Gilmore
  • 37. (c) Jimmy Dee, some rights reserved (CC BY-SA), uploaded by Jimmy Dee
  • 38. (c) Judy Gallagher, some rights reserved (CC BY-NC), uploaded by Judy Gallagher
  • 39. (c) Russell Pfau, some rights reserved (CC BY-NC), uploaded by Russell Pfau
  • 40. (c) John Morgan, some rights reserved (CC BY-NC), uploaded by John Morgan
  • 41. (c) Lic. Kevin Miguel Garibaldi Fierro, some rights reserved (CC BY), uploaded by Lic. Kevin Miguel Garibaldi Fierro
  • 42. (c) Eric Knopf, some rights reserved (CC BY-NC), uploaded by Eric Knopf
  • 43. (c) Lee Hoy, some rights reserved (CC BY-NC-ND), uploaded by Lee Hoy
  • 44. (c) Zoology123, some rights reserved (CC BY-NC), uploaded by Zoology123
  • 45. (c) Dave Wendelken, some rights reserved (CC BY-NC), uploaded by Dave Wendelken
  • 46. (c) John Abbott, some rights reserved (CC BY-NC-ND), uploaded by John Abbott
  • 47. (c) Michael Skvarla, some rights reserved (CC BY-NC-SA), uploaded by Michael Skvarla
  • 48. (c) Mark Rosenstein, some rights reserved (CC BY-NC-SA), uploaded by Mark Rosenstein
  • 49. (c) Trey Wardlaw, some rights reserved (CC BY-NC), uploaded by Trey Wardlaw
  • 50. (c) Victor W Fazio III, some rights reserved (CC BY-NC), uploaded by Victor W Fazio III
  • 51. (c) Pierrick Bloin, some rights reserved (CC BY-NC), uploaded by Pierrick Bloin
  • 52. (c) Susan J. Hewitt, some rights reserved (CC BY-NC), uploaded by Susan J. Hewitt
  • 53. (c) Rob Curtis, some rights reserved (CC BY-NC-SA), uploaded by Rob Curtis
  • 54. (c) michi1, some rights reserved (CC BY-NC), uploaded by michi1
  • 55. (c) Paul Bedell, some rights reserved (CC BY-NC-SA)