Windsor County, Vermont

These are some of the life forms we can find in Hartland, Vermont and all of Windsor County.

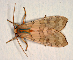
Barberry geometer

The Barberry Geometer Moth or Barberry Looper (Coryphista meadii) is a moth of the Geometridae family. It is found in the United States and southern Canada.

Sober Renia Moth

The Sober Renia (Renia sobrialis) is a moth of the Noctuidae family. It is found from Nova Scotia to Florida, west to Mississippi and Michigan.

Primrose Moth

The Primrose Moth (Schinia florida) is a moth of the Noctuidae family. It is found in North America, from Alberta to Nova Scotia south in east to northern Florida and Texas.

Small-eyed Sphinx

The Small-eyed Sphinx (Paonias myops) is a species of moth of the Sphingidae family. It is found from south-eastern Canada to Florida and westward almost to the Pacific Coast. It is also known from Mexico.

Dark-barred Twin-spot Carpet

The Dark-barred Twin-spot Carpet, Xanthorhoe ferrugata, is a moth of the genus Xanthorhoe in the family Geometridae.

Deceptive Snout

The Deceptive Hypena (Hypena deceptalis) is a moth of the Noctuidae family. It is found from Manitoba to Quebec, south to Florida and Texas. It is absent from much of Coastal Plain though.

Dark Phalaenostola

The Punctuated Owlet (Phalaenostola eumelusalis) is a moth of the Noctuidae family. It is found from New Brunswick, North Dakota and South Dakota to Maine, south to Georgia and Iowa. In the north it is also found in Saskatchewan.

Yellow Three-Spot

The Yellow Three-Spot (Apamea helva) is a moth of the Noctuidae family. It is found from New Brunswick to Georgia, west to Oklahoma and Colorado, north to Saskatchewan.

Porcelain Gray

The Porcelain gray (Protoboarmia porcelaria), also known as the Dash-lined looper, is a Geometrid found throughout North America, except in the far north.

Jumpseed

Jumpseed (Persicaria virginiana) is a Persicaria. They can grow in dry, shady areas.

Banded Tussock Moth

Halysidota tessellaris, the banded tussock moth, tessellated halisidota, or pale tiger moth, is a moth in the family Arctiidae. Like most species in this family, it has chemical defenses it acquires from its host plants, in this case, alkaloids (Weller et al., 1999, Hristov and Conner 2005), at least in the adult. The brazen behaviour of the larvae also ...more ↓

Grape Plume Moth

The Grape Plume Moth (Geina periscelidactyla) is a moth of the Pterophoroidea family. It is found in eastern North America.

Yellow Slant-line

Tetracis crocallata is a moth of the Geometridae family. It is found from Nova Scotia, New Brunswick, southern Manitoba and southern Saskatchewan to Alberta, south to northern Florida, west to Kansas, Nebraska, North Dakota and extreme eastern Texas.

Great Egret

The Great Egret (Ardea alba), also known as Great White Egret, Common Egret, Large Egret or Great White Heron, is a large, widely-distributed egret. Distributed across most of the tropical and warmer temperate regions of the world, in southern Europe it is rather localized. In North America it is more widely distributed, and it is ubiquitous across ...more ↓

Wilson's Snipe

Wilson's Snipe (Gallinago delicata) is a small, stocky shorebird. This species was formerly considered to be a subspecies of the Common Snipe, G. gallinago. Wilson's Snipe differs from the latter species in having a narrower white edge to the wings, and eight pairs of tail feathers instead of seven. Its common name commemorates the American ornithologist Alexander ...more ↓

Wilson's Phalarope

The Wilson's Phalarope (Phalaropus tricolor) is a small wader. This bird, the largest of the phalaropes, breeds in the prairies of North America in western Canada and the western United States. It is migratory, wintering around the central Andes in South America. They are passage migrants through Central America around March/April and again during September/October. The species ...more ↓

Bonaparte's Gull

The Bonaparte's Gull (Chroicocephalus philadelphia) is a small gull.

Sooty Tern

The Sooty Tern (Onychoprion fuscatus) (formerly Sterna fuscata), is a seabird of the tern family (Sternidae). It is a bird of the tropical oceans, breeding on islands throughout the equatorial zone. Colloquially, it is known as the Wideawake Tern or just wideawake. This refers to the incessant calls produced by a colony of these birds, as does the Hawaiian ...more ↓

Caspian Tern

The Caspian Tern (Hydroprogne caspia, formerly Sterna caspia;syn. Hydroprogne tschegrava, Helopus caspius) is a species of tern, with a subcosmopolitan but scattered distribution. Despite its extensive range, it is monotypic of its genus, and has no subspecies accepted either. In New Zealand it is also known by the Maori name Taranui.

Snowy Owl

The Snowy Owl (Bubo scandiacus) is a large owl of the typical owl family Strigidae. The Snowy Owl was first classified in 1758 by Carolus Linnaeus, the Swedish naturalist who developed binomial nomenclature to classify and organize plants and animals. Until recently, it was regarded as the sole member of a distinct genus, as Nyctea scandiaca, but mtDNA cytochrome ...more ↓

Black-capped Chickadee

The Black-capped Chickadee (Poecile atricapillus) is a small, North American songbird, a passerine bird in the tit family Paridae. It is the state bird of both Maine and Massachusetts in the United States, and the provincial bird of New Brunswick in Canada. It is notable for its capacity to lower its body temperature during cold winter nights, its good spatial memory to relocate ...more ↓

Boreal Chickadee

The Boreal Chickadee (Poecile hudsonicus) is a small passerine bird in the tit family Paridae.

Tennessee Warbler

The Tennessee Warbler, Oreothlypis peregrina, is a New World warbler. It breeds from the Adirondack Mountains in New York through northern Vermont, New Hampshire, and Maine north and west throughout much of Canada. Also found breeding in northeast Minnesota and northern U.P. of Michigan. It is migratory, wintering in southern Central America and northern Colombia and ...more ↓

Nashville Warbler

The Nashville Warbler, Oreothlypis ruficapilla, is a small songbird in the New World warbler family.

Mourning Warbler

The Mourning Warbler (Geothlypis philadelphia) is a small songbird of the New World warbler family.

Cape May Warbler

The Cape May Warbler (Setophaga tigrina) is a species of New World warbler. It breeds in northern North America. Its breeding habitat spans across all but the westernmost parts of southern Canada, and into the Great Lakes region and New England. It is migratory, wintering in the West Indies. This species is a very rare vagrant to western Europe. The species is named after Cape ...more ↓

Cerulean Warbler

The Cerulean Warbler (Setophaga cerulea) is a small songbird of the New World warbler family.

Northern Parula

The Northern Parula (Setophaga americana) is a small New World warbler. It breeds in eastern North America from southern Canada to Florida.

Magnolia Warbler

The Magnolia Warbler (Setophaga magnolia) is a member of the wood warbler family Parulidae. This warbler was first discovered in magnolia trees in the 19th century by famed ornithologist Alexander Wilson while in Mississippi.

Blackburnian Warbler

The Blackburnian Warbler (Setophaga fusca) is a small New World warbler. They breed in eastern North America, from southern Canada, westwards to the southern Canadian Prairies, the Great Lakes region and New England, to North Carolina.

Yellow Warbler

The American Yellow Warbler (Setophaga petechia, formerly Dendroica petechia) is a New World warbler species. Sensu lato, they make up the most widespread species in the diverse Setophaga genus, breeding in almost the whole of North America and down to northern South America.

Chestnut-sided Warbler

The Chestnut-sided Warbler (Setophaga pensylvanica) is a New World warbler. They breed in eastern North America and in southern Canada westwards to the Canadian Prairies. They also breed in the Great Lakes region and in the eastern USA.

Blackpoll Warbler

The Blackpoll Warbler (Setophaga striata ) is a New World warbler. Breeding males are mostly black and white. They have a prominent black cap, white cheeks and white wing bars. The Blackpoll breeds in northern North America, from Alaska, through most of Canada, and into the Great Lakes region and New England.

Palm Warbler

The Palm Warbler (Setophaga palmarum) is a small songbird of the New World warbler family.

Pine Warbler

The Pine Warbler (Setophaga pinus) is a small songbird of the New World warbler family.

Yellow-rumped Warbler

Four closely related North American bird forms—the eastern Myrtle Warbler (ssp coronata), its western counterpart, Audubon's Warbler (ssp group auduboni), the northwest Mexican Black-fronted Warbler (ssp nigrifrons), and the Guatemalan Goldman's Warbler (ssp goldmani)—are periodically lumped as the Yellow-rumped Warbler (Setophaga coronata).

Prairie Warbler

The Prairie Warbler, (Setophaga discolor), is a small songbird of the New World warbler family.

Black-throated Green Warbler

The Black-throated Green Warbler (Setophaga virens) is a small songbird of the New World warbler family.

Canada Warbler

The Canada Warbler (Cardellina canadensis) is a small 13 cm long songbird of the New World warbler family.

Wilson's Warbler

The Wilson's Warbler (Cardellina pusilla) is a small New World warbler. It is primarily greenish above and yellow below, with rounded wings and a long, slim tail. The male has a black crown patch which is greatly reduced or missing entirely in the female. It breeds across Canada and south through the western United States, and winters from Mexico south through much of Central ...more ↓

Common Redpoll

The Common Redpoll (Carduelis flammea) is a species in the finch family. It breeds somewhat further south than the Arctic Redpoll, also in habitats with thickets or shrubs. Nominate C. f. flammea (Mealy Redpoll) breeds across the northern parts of North America and Eurasia. There is also an Icelandic subspecies, Icelandic Redpoll (C. f. islandica), ...more ↓

Pine Siskin

The Pine Siskin (Carduelis pinus) is a North American bird in the finch family. It is a migratory bird with an extremely sporadic winter range.

American Goldfinch

The American Goldfinch (Carduelis tristis), also known as the Eastern Goldfinch and Wild Canary, is a small North American bird in the finch family. It is migratory, ranging from mid-Alberta to North Carolina during the breeding season, and from just south of the Canadian border to Mexico during the winter.

Tosale oviplagalis

The Dimorphic Tosale Moth (Tosale oviplagalis) is a moth of the Pyralidae family. It is found from eastern North America (from New York to Florida and west to Illinois and Texas) south to Colombia and Peru.

American Dagger Moth

The American Dagger Moth (Acronicta americana) is a moth of the family Noctuidae. It is native to North America.

Smooth Greensnake

The smooth green snake (Opheodrys vernalis) is a nonvenomous North American colubrid. It is also referred to as the grass snake. It is a slender, "small medium" snake that measures 36–51 cm (14–20 in) as an adult. It gets its common name from its smooth dorsal scales, as opposed to the rough green snake. It is found in marshes, meadows, open woods, and along stream ...more ↓

Ambiguous Moth

The Ambiguous Moth (Lascoria ambigualis) is a moth of the Noctuidae family. It is found from Wisconsin to Maine, south to Florida and Texas.

Feltia herilis

The Herald Dart or Master's Dart (Feltia herilis) is a moth of the Noctuidae family. It is found from Vancouver Island to Newfoundland, north to the Northwest Territories border and south to the Gulf coast.

Nicrophorus tomentosus

Gold-necked carrion beetle, Nicrophorus tomentosus, is a species of burying beetle that was described by Friedrich Weber in 1801. The beetle belongs to the Silphidae family which are carrion beetles. The beetles have sensitive antennae that contain olfactory organs. Thus, the beetle can locate dead animals (carcass), and then as the name suggests, can bury them. However, ...more ↓

Blackberry Looper

The Blackberry Looper (Chlorochlamys chloroleucaria) is a moth of the Geometridae family. It is found from Nova Scotia to Florida, west in Canada to Manitoba, west in the United States to the Rocky Mountains, and south into Mexico.

Metalectra discalis

The Common Fungus Moth (Metalectra discalis) is a moth of the Noctuidae family. It is found from Quebec and Wisconsin to Maine, south to Florida, west to Texas and Missouri, north to Ontario.

Pisaurina brevipes

Pisaurina brevipes is a species of "nursery web spider" that is found in the eastern half of the North American continent, from Ontario down to Florida and west to Kansas. These spiders are distinguished from the rather similar Pisaurina mira spiders by having relatively shorter legs. The ration of leg length I to cephalothorax length is less that 2.0 in males and less ...more ↓

Painted Suillus

Suillus spraguei is a species of fungus in the Suillaceae family. It is known by a variety of common names, including the painted slipperycap, the painted suillus or the red and yellow suillus. Suillus spraguei has had a complex taxonomical history, and is also frequently referred to Suillus pictus in the literature. The readily identifiable ...more ↓

Lambdina fiscellaria

The Mournful Thorn or Hemlock Looper (Lambdina fiscellaria) is a moth of the Geometridae family. It is found in North America, from the Pacific to the Atlantic coast and from Canada south to Pennsylvania, Wisconsin and California.

Mountain Wood-sorrel

Oxalis montana is a species of flowering plant in the Oxalidaceae known by the common names mountain woodsorrel, wood shamrock, sours and white woodsorrel. It may also be called common woodsorrel, though this name also applies to its close relative, Oxalis acetosella. This species is native to eastern North America, including eastern ...more ↓

Small Winter Stoneflies

Capniidae, the small winter stoneflies, is a family of insects in the stonefly order (Plecoptera). It constitutes one of the largest stonefly families, containing some 300 species distributed throughout the Holarctic. Their closest relatives are the rolled-winged stoneflies (Leuctridae).

Chionea

Chionea is a genus of wingless limoniid crane flies. It consists of two subgenera, the holarctic Chionea and palaearctic Sphaeconophilus. About 40 species are currently recognized in the northern hemisphere, but there are probably several undescribed species. They are commonly called snow flies.

Macrochilo litophora

The Angulate Fan-foot (Macrochilo litophora) is a moth of the Noctuidae family. It is found from Wisconsin, east to Massachusetts, south to North Carolina, South Carolina, Mississippi and Texas.

Phalaenophana pyramusalis

The Dark-banded Owlet (Phalaenophana pyramusalis) is a moth of the Noctuidae family. It is found from Saskatchewan to Nova Scotia, south to North Carolina and Texas.

Labrador tea

Rhododendron groenlandicum (Bog Labrador tea, formerly Ledum groenlandicum or Ledum latifolium), is a flowering plant in the subsection Ledum of the large genus Rhododendron in the family Ericaceae. It is a low shrub growing to 50 cm (rarely up to 2 m) tall with evergreen leaves 20–60 mm long and 3–15 mm broad. The leaves are ...more ↓

Sericomyia chrysotoxoides

Sericomyia chrysotoxoides is a North American species of flower fly.

Common Spring Moth

Heliomata cycladata, the Common Spring Moth, is a moth of the Geometridae family. It is found in eastern North America, with records from southern Ontario, southern Quebec, Maine, New Hampshire, Michigan, Wisconsin to South Carolina, Georgia, Alabama, northern Mississippi and Arkansas.

Nais Tiger Moth

Apantesis nais, the Nais Tiger Moth, is a moth of the Arctiidae family. It was described by Drury in 1773. It is found from Quebec and Maine south to Florida and west to Texas and South Dakota.

Whip-poor-will

The Eastern Whip-poor-will, (Antrostomus vociferus), is a medium-sized (22–27 cm) nightjar bird from North and Central America. The whip-poor-will is commonly heard within its range, but less often seen because of its superior camouflage. It is named onomatopoeically after its song.

House Finch

The House Finch (Haemorhous mexicanus) is a bird in the finch family Fringillidae, which is found in North America. This species and the other "American rosefinches" are placed in the genus Haemorhous by the American Ornithologists' Union but have usually been included in Carpodacus.

Purple Finch

The Purple Finch (Haemorhous purpureus) is a bird in the finch family Fringillidae.

meal moth

The Meal Moth (Pyralis farinalis) is a cosmopolitan moth of the family Pyralidae. Its larvae (caterpillars) are pests of certain stored foods, namely milled plant products.

Black-throated Blue Warbler

The Black-throated Blue Warbler (Setophaga caerulescens) is a small passerine bird of the New World warbler family. Its breeding ranges are located in the interior of deciduous and mixed forests in eastern North America. Over the cooler months, it migrates to islands in the Caribbean and Central America. It is a very rarely found in western Europe, where it is considered to be ...more ↓

Stictoleptura canadensis

Stictoleptura canadensis (also known as the Flower Longhorn Beetle and Red-shouldered Pine Borer) is a species of beetle in the Cerambycidae family, that can be found in Canada and the United States.

White-lined Snout

The White-lined Hypena (Hypena abalienalis) is a moth of the Noctuidae family. It is found from southern Canada to northern Florida and Texas.

Chalcoela iphitalis

The Sooty-winged chalcoela (Chalcoela iphitalis) is a member of the Crambidae family that occurs throughout North America. They are seen as far south as California and South Carolina and as north as Ontario. Adults can been seen from May to August. Caterpillars feed on the larvae of Polistes, including the species Polistes exclamans. The head, body and front portion of ...more ↓

Yellow-shouldered Slug Moth

Lithacodes fasciola, the Yellow-shouldered slug or Ochre-winged hag moth, is a moth of the family Limacodidae.

Red-fringed Emerald

The Red-fringed Emerald or Two-striped Emerald (Nemoria bistriaria) is a species of moth of the Geometridae family. It is found from New Brunswick to Florida, west to Texas, north to Ontario.

cinnamon fern

Osmundastrum cinnamomeum, the Cinnamon Fern, is a species of eusporangiate fern in the family Osmundaceae. It is native to the Americas and eastern Asia, growing in swamps, bogs and moist woodlands.

princess pine

Lycopodium obscurum, commonly called ground pine or princess pine, is a species of clubmoss in the family Lycopodiaceae. It is a close relative of other treelike Lycopodium such as L. dendroideum and L. hickeyi. It is distributed from Alabama to the east coast of the United States, and north into Canada. Newfoundland is in the northeast corner ...more ↓

Edited by Marie Studer, some rights reserved (CC BY-SA)