I love browsing iNat's backlog for interesting things and perhaps unidentified new species. Here I collect previously unID'ed records I unearthed in the basements, each representing the first record of this species on iNaturalist. In most cases, the taxon needed to be added as new to iNat's database.
-

-

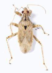
iNat's 1st record of Pristhesancus chlamydatus Miller, 1958 was found by Julien Renoult near Cairns, Far North Queensland, Australia. Taxon added to database in March 2022
-

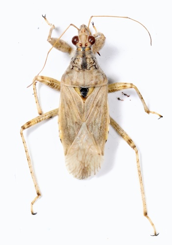
iNat's 1st record of Polycentrocoris turneri Miller, 1957 was found by Victor W Fazio III north of Newcastle, NSW, Australia. Taxon added to database in Feb 2022
-

iNat's 1st record of Thelocoris nigricans (Stål, 1866), found by Bevan Buirchell in Western Australia. Taxon added to iNat's database in Feb 2022
-

iNat's 1st record of Paragylla calida Miller, 1959. Found by Bevan Buirchell in arid Western Australia, genus and species added to iNat's database in March 2022
-

Sastrapada australica Stål, 1874. Common Australian species, but all specimens formerly unidentified or id'ed as Oncocephalus. Taxon added to iNat's taxonony in March 2022
-
Micropolytoxus hackeri Elkins, 1962. Found by Thomas Mesaglio in New South Wales, Australia, taxon (and moreover the entire Australian Saicinae taxonomy) added to iNat's database in March 2022
-

iNat's 1st record of Nabis larvatus Kerzhner, 1970 was found by Damien Brouste in New Caledonia. The strangest of all Nabinae, larva-like habit without any remnants of wings, probably endemic to Ne... More
-

-

found by Dana Mihai Milea Zachi in the Danube Delta, Black Sea coast, Romania
-

iNat's 1st record of Nabis galapagoensis Kerzhner, 1968 was found by Diego Inclan, Isla Santa Cruz, Galápagos
-

-

Stenonabis nitidicollis Kerzhner, 1970. Rather common east coastal Nabid, but mostly hidden as unidentified Reduviidae or similar
-

-

-

Bezu maiponga (Gross, 1950) (now cf. as ID'd before Tatarnic 2022...) Found near Adelaide, South Australia added to database in Feb 2022
-

iNat's 1st record of Deroploopsis trispinosus Musgrave, 1930 (Pentatomidae: Podopinae) found by Gunter Maywald at Wychitella Nature Conservation Reserve, Victoria, Australia.
-

Cermatulus nasalis ssp. rufusensis Woodward, 1953. Alpine subspecies. Found by Elaine McDonald in Tasmania, taxon added to iNat's database in May 2022
-

Trachyops australis Dallas, 1851. 1st record found by fairytaildolphin near Adelaide, South Australia. Taxon added to database in Juli 2022
-

Eremophilacoris aridicolus Gross, 1975. Found by Mark Newton in Morgan near Adelaide, added to iNat's taxonomy in Apr 2022
-

iNats first record of Dysnoetus rugulosus (Horvath, 1902) was found by Liz O'Donnell in the Southern Tablelands of New South Wales. Species added to iNats' database in Nov 2022
-

Aglaophon varius Stål, 1876. Found by Hannah Hickli near Alpha, Central West Queensland. Added to iNat's taxonomy in Sep 2022
-

Parapoecilometis campbelli Gross, 1976. iNat's 1st record was found by Bevan Buirchell in arid Western Australia, added to iNat's taxonomy in Apr 2022
-

Dippilana membranacea Distant, 1910. Found by -let's say- several people in Kalbarri / Kalbarri National Park, Western Australia.
-

-

rare species, confined to the Northern Territory and Western Australia, first and only iNat record
-

iNat's 1st record of Poecilometis macromaculatus Gross, 1972. And the world's 1st puclic photo showing a specimen with complete antennae! Found by Lohn Lenagan in tropical Queensland (Far North), A... More
-

-

-

-

iNat's 1st record of Petalaspis tescorum Bergroth, 1916 found by Gunter Maywald south of Boolcoomata Reserve, arid South Australia. Taxon added to iNat's database in Oct 2022.
-

Cuspicona procallosa Gross, 1975. Found by Loxley Fedec, Pongurup National Park, Western Australia. Added to iNat's taxonomy in Sep 2022
-

-

-

-

-

-

-

-

-

-

iNat's 1st record of Anischys lundbecki (Jensen-Haarup, 1928) found by Ken Harris (Entomological Society of Victoria) at Morwell National Park, Victoria.
-

-

Blaena setosa Walker, 1868. iNats first record was foubd by tjeales in the Channel Country, outback, Queensland, Australia. Genus and species added to iNat in Dec 2022
-












































