Explore
Community
People
Projects
Journal Posts
Forum
More
Taxa Info
Guides
Places
Site Stats
Help
Video Tutorials
Managing Projects
Teacher's Guide
Log In
or
Sign Up
Photo 16676330, (c) Alison Northup, some rights reserved (CC BY)
Attribution
© Alison Northup
some rights reserved
Uploaded by
alisonnorthup
Source
iNaturalist
Original
https://www.inaturalist.org/photos/16676330
Associated observations
Photos / Sounds
3 photos
What
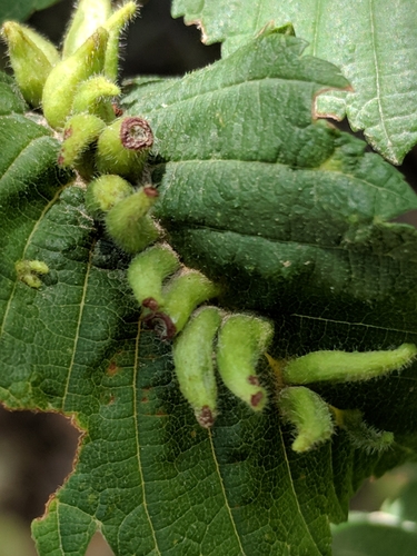
Elm Finger Gall Mite
Aceria parulmi
Observer
alisonnorthup
Date
April
28
,
2018
02:33 PM CDT
Place
1041-1099 E 2nd St, Austin, TX 78702, USA
(
Google
,
OSM
)
Date Added
April 28, 2018
03:42 PM CDT
Description
on Ulmus americana
7
comments
3
IDs
R
esearch
G
rade
View
Sizes
small
medium
large
original
About
Help
Forum
Press
Our Blog
Community Guidelines
Terms of Service
Privacy
DONATE
STORE
Twitter
Instagram
Member of the
iNaturalist Network
| Powered by
iNaturalist open source software
| Documentation for
developers
English
Toggle Dropdown
العربية
Belarusian
български
Breton
Català
česky
Dansk
Deutsch
Ελληνικά
English
Esperanto
Español
Español (Argentina)
Español (Colombia)
Español (México)
Eesti
Euskara
suomi
français
Français (Canada)
Galego
עברית
magyar
Indonesia
Italiano
日本語
ಕನ್ನಡ
한국어
Lëtzebuergesch
Lietuvių
Latviešu
македонски
मराठी
Norsk Bokmål
Nederlands
Occitan
Polski
Português
Português (Brasil)
Русский
Slovenský
Shqip
Svenska
Thai
Türkçe
Українська
简体中文
繁體中文
Help Translate!